GEOLOGY OF THE BALEARIC ISLANDS

The Balearic Islands are an archipelago of islands situated in the western part of the Mediterranean Sea which geologically constitute the eastern prolongation to the north-east of the Baetic ranges, forming what is known as the Balearic Promontory. 


The promontory certainly has spectacular morphological features. For example, the Emile Baudot scarp, an immense undersea cliff which borders the Llevant region of Mallorca and the Migjorn of Menorca, that has at some points almost vertical height differences in the order of 2000 m. Towards the southwest of this scarp there is one of its most outstanding geological formations: the Emile Baudot Volcanic Field.

The geological record of the Balearics begins in the Paleozoic era, particularly in the Silurian period, some 420 Ma ago. From this period and the one which followed it, the Devonian, Menorca’s Tramuntana is the only range that has outcrops.

During these two periods, much earlier than the formation of the Balearics as such, the environment was essentially marine.


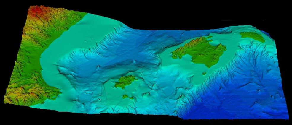
Bathytopographic map of the Balearic Promontory and Gulf of Valencia, created by GRC Geociències Marines, Geology Faculty, UB.

In the Carboniferous, from approximately 359 to 299 Ma, the materials continued to deposit in a marine sedimentary basin which in some zones was at great depth. From this period there are numerous sites in the north of Menorca. In Mallorca it corresponds to the start of the geological record, and its outcrops are very occasional.



Tirant (left) is the location of the oldest geological formations of the Balearics, from the Silurian and Devonian. In Binimella (right), a succession of strata of the Devonian and Carboniferous forms fold like the one in the photo

The period that culminates this era is the Permian, in which a predecessor supercontinent of the present-day continents named Pangaea was formed, with a surface where immense deserts proliferated. It is precisely an arid environment, with eventual floods, that best represents the Permian in the Balearics. The highly characteristic red sandstones are broadly found again in the north of Menorca, even although in Mallorca some notable outcrops exist. 

Cap de Favàritx, one of the most important outcrops of the Carboniferous in the Balearic Islands

Two relevant outcrops of the Permian: Muntanya Mala (left) and Port des Canonge (right).

The Mesozoic, which began in the Triassic (from approximately 251 to 201 Ma), is the oldest period represented in Eivissa and Cabrera, being much more developed in Menorca and Mallorca. Although in its beginnings the environment is still similar to the Permian, in the Middle Triassic there is a sequence of limestones and dolomites of marine origin which indicate that the zone was invaded by the Paleo-Tethys Ocean. In contrast, during the Upper Triassic many of the marine zones emerged again, developing a new arid environment, where large salt lakes developed together with volcanoes. 


During large part of the Jurassic (from approximately 201 to 145 Ma), the area was submerged under the Tethys Ocean. It is characterised by diverse marines environments which evolved in parallel with the movements of the tectonic plates, with many examples dispersed all around the Balearic geography. This is one of the best represented periods in Mallorca, also having some important outcrops in Eivissa and Menorca. The rocks that form the majority of the massifs of the Serra de Tramuntana in Mallorca are from the initial stage of the Jurassic.


Two types of representative rocks of the Balearic Triassic: red sandstones of Estellencs (left) and veined dolomites of Punta d’en Valls (right).

Limestones of the Middle Jurassic in Cala Fornells (left) and Upper Jurassic in Cala Llonga (right).

The Cretaceous (from approximately 145 to 65 Ma) also begins in a marine environment. Although in Menorca this period is poorly represented, in both Mallorca and Eivissa most of the outcrops can be found. It is in this latter island where there is most variety in its materials, reflecting both deep seabeds and platform environments, that is, shallow marine areas close to inland areas. While the Lower Cretaceous is present in the three largest islands, its upper part is found mainly in Eivissa, while in Mallorca it is very incomplete and reduced to a few small outcrops. Probably, the subsequent geological processes eroded the original deposits of this stratigraphical interval, together with part of the incoming period: the Paleogene


The oldest Paleogene materials are found in Mallorca and Cabrera and correspond to the Eocene epoch, 45 Ma ago. During this time and the later (the Oligocene) a system of lakes was formed, which left substantial coal deposits in Mallorca, with coastal zones existing nearby. The Oligocene ended about        23 Ma ago and corresponds to the oldest epoch of the Cenozoic.  It is only poorly present in Menorca. 


Relevant outcrops of the Cretaceous in Es Penyal de S’Àguila (left) and Cala Torta (right).

Eocene of Cabrera (left) and Oligocene of Peguera (right).

Also during the Paleogene, the Para-Tethys Sea, the mother of the present-day Mediterranean, emerged from the Tethys Ocean. At the end of this period the Alpine Orogeny began, a global geological process that would change forever the geology of the archipelago.

The Miocene (from 23 to 5,3 Ma, approximately) is the first epoch of Neogene, and is the most important geological stage in the formation of the archipelago. In this time, the orography of the Balearic Islands is formed due the Alpine Orogeny, which had previously started. This process is also the origin of important reliefs such as the Alps, the Himalayas, the Atlas and the Beticas, in wich Balearic Islands are included. Without the numerous Miocene testimonies, especially in Mallorca, it would be very difficult to understand the formation of the islands. The oldest Cenozoic rocks of Ibiza are precisely from this time, when the Formentera geological record begins. In general the environments are marines, although there are also continental ones.

As a consequence of the Alpine Orogeny, during the Miocene (from approximately 23 to 5.3 Ma) the geological structure of the Balearics was arranged in a series of elevated zones (horst) and a series of depressions (graven). Due to the tropical climate prevailing during this epoch, the corals that populated the zone began to form important coral barriers in the peripheral zones of the emerged lands of the Balearics.


Strata of the Lower Miocene folded by the Alpine Orogeny in Cala Bóquer (left), and materials of the Upper Miocene containing a part of the old coral barriers in La Mola of Formentera (right).

Outcrop from the epoch of the Messinian Salinity Crisis in the zone of Puig de Ros (left) and lumaquela (right) on the Pliocene beaches of the Cala Pi-Vallgornera zone.

The end of Pliocene is also the end of the Cenozoic, and the Quaternary starts with the Pleistocene. This began 2.5 Ma ago, coinciding with the start of the Quaternary glaciations and the appearance of the first modern humans. The climate, increasingly colder, caused the progressive regression of the sea, which gave the archipelago an outline more similar to its present-day configuration.

Although not exclusive to this epoch, the dunes and fossil beaches are very characteristic of it. This is the period of creation of many of the present-day caves and the development of the Emile Baudot Volcanic Field in the Mallorca Channel. 


Representative geology of the Balearic Quaternary: cave Es Pas de Vallgornera (left) and fossil beach of Es Carnatge (right).

With the last and most intense of the glaciations, the expansion of the polar ice caps reduced the sea level to the point that Mallorca and Menorca were joined into a single island which has been called Gran Gimnésida. This would be the last of the great changes undergone by the Balearics, which would finish with the end of the glaciation periods 10,000 years ago. The later moments in geological terms form part of the present epoch, the Holocene.


Geology of the Balearic Islands. The brown and dark grey colours are Paleozoic materials, the blues and greens are Mesozoic, the oranges and yellows are Paleogene and Neogene, and the light greys are Quaternary (IGME, 2015)